🔸Existirán condiciones propicias para la caída de nieve o aguanieve en las sierras de Baja California, Sonora y Chihuahua.
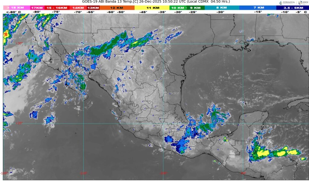
#NACIONAL🇲🇽 II Buenos días ☀️ ll El Servicio Meteorológico Nacional informa que un nuevo frente frío (número 24) ingresará a Baja California, en combinación con una vaguada en niveles medios y altos de la atmósfera, la corriente en chorro polar y un río atmosférico, generarán descenso de temperatura en el noroeste del territorio nacional, así como lluvias puntuales fuertes en Baja California; adicionalmente lluvias y chubascos en Baja California Sur, Sonora y Chihuahua.
Asimismo, existirán condiciones propicias para la caída de nieve o aguanieve en las sierras de Baja California, Sonora y Chihuahua.
Por otra parte, un canal de baja presión sobre el sureste mexicano y la península de Yucatán, en interacción con una vaguada en altura y con una circulación ciclónica en niveles medios de la atmósfera en el golfo de México, originarán lluvias fuertes a muy fuertes en Puebla, Veracruz, Oaxaca, Chiapas y Tabasco.
Simultáneamente, un canal de baja presión en el centro del país, aunado a inestabilidad atmosférica y al ingreso de humedad del océano Pacífico y golfo de México, ocasionarán lluvias y chubascos en dicha región; con lluvias puntuales fuertes en Guerrero.
Más historias
Bomberos de San José del Cabo se preparan para ejercicio binacional con CAL FIRE
Fallecen agentes estatales y miembros de la Embajada de Estados Unidos tras operativo antidrogas en Chihuahua
Aumentos en precios del diésel no tienen razón de ser; mañana habrá nueva reunión con gasolineros: Claudia Sheinbaum