🔸Ambiente caluroso a muy caluroso con temperaturas superiores a 35 grados, en zonas del litoral del Pacífico mexicano.
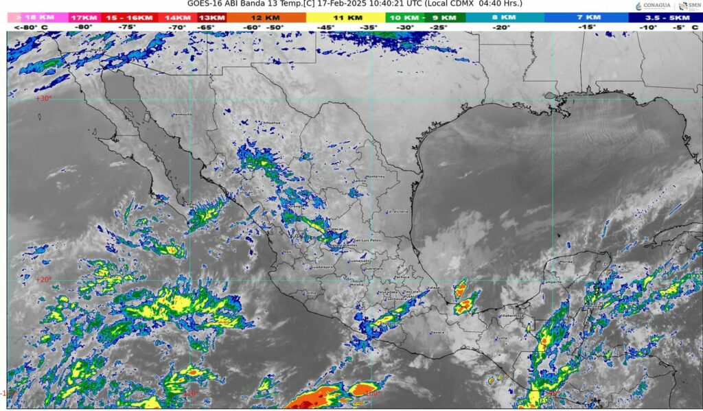
#Nacional🇲🇽 ll Buenos días ☀️ll El Servicio Meteorológico Nacional pronostica que durante este día, el frente número 27 extendido con características de estacionario sobre el centro y sur del golfo de México, interaccionará con un canal de baja presión en el sureste del país y ocasionará lluvias puntuales fuertes en el oriente, sur y sureste del territorio nacional, incluida la península de Yucatán.
Asimismo, la masa de aire ártico asociada al frente empezará a modificar sus características térmicas en el transcurso del día; sin embargo, mantendrá el evento de “Norte” con rachas de viento de 70 a 90 kilómetros por hora (km/h)en Veracruz (sur) e istmo y golfo de Tehuantepec, durante la mañana.
El ingreso de humedad del océano Pacífico, generará lluvias e intervalos de chubascos en zonas del occidente, centro y sur de la República Mexicana.
Finalmente, una circulación anticiclónica en niveles medios de la atmósfera, mantendrá ambiente caluroso a muy caluroso con temperaturas superiores a 35 grados en zonas del litoral del Pacífico mexicano, desde Sinaloa hasta Chiapas.
Along with the whole thing which seems to be developing throughout this specific area, a significant percentage of perspectives tend to be rather exciting. However, I am sorry, because I do not give credence to your whole theory, all be it stimulating none the less. It would seem to me that your comments are actually not entirely validated and in simple fact you are generally yourself not thoroughly convinced of your assertion. In any event I did enjoy examining it.
Regards for all your efforts that you have put in this. very interesting info .
Rattling clean website , regards for this post.
I admire your piece of work, appreciate it for all the interesting posts.
me encantei com este site. Para saber mais detalhes acesse nosso site e descubra mais. Todas as informações contidas são conteúdos relevantes e únicos. Tudo que você precisa saber está ta lá.
Hello.This article was really interesting, particularly since I was browsing for thoughts on this subject last Monday.
Hey There. I found your blog using msn. This is an extremely well written article. I’ll make sure to bookmark it and return to read more of your useful information. Thanks for the post. I’ll certainly comeback.
I have not checked in here for a while as I thought it was getting boring, but the last few posts are great quality so I guess I’ll add you back to my daily bloglist. You deserve it my friend 🙂
I conceive this site contains some real fantastic information for everyone : D.
With havin so much content do you ever run into any issues of plagorism or copyright infringement? My site has a lot of unique content I’ve either written myself or outsourced but it appears a lot of it is popping it up all over the internet without my agreement. Do you know any solutions to help stop content from being stolen? I’d definitely appreciate it.
I’ve been absent for some time, but now I remember why I used to love this web site. Thanks, I will try and check back more often. How frequently you update your website?
Fantastic web site. A lot of useful information here. I’m sending it to a few friends ans also sharing in delicious. And obviously, thanks for your effort!
Thanks for another magnificent post. Where else could anybody get that kind of information in such a perfect way of writing? I have a presentation next week, and I’m on the look for such info.
You can certainly see your enthusiasm within the paintings you write. The world hopes for more passionate writers such as you who aren’t afraid to mention how they believe. Always follow your heart. «Man is the measure of all things.» by Protagoras.
Thank you a bunch for sharing this with all of us you actually recognise what you’re speaking approximately! Bookmarked. Kindly also visit my site =). We may have a link change agreement among us!
It’s the best time to make some plans for the future and it is time to be happy. I’ve read this post and if I could I wish to suggest you some interesting things or tips. Perhaps you could write next articles referring to this article. I wish to read even more things about it!
I have been examinating out some of your articles and i must say pretty good stuff. I will definitely bookmark your site.
I went over this web site and I think you have a lot of fantastic info, bookmarked (:.
I went over this web site and I think you have a lot of superb information, saved to bookmarks (:.
This really answered my problem, thank you!
I am glad to be a visitor of this staring web blog! , thankyou for this rare information! .
Hmm it looks like your website ate my first comment (it was extremely long) so I guess I’ll just sum it up what I had written and say, I’m thoroughly enjoying your blog. I too am an aspiring blog writer but I’m still new to everything. Do you have any helpful hints for first-time blog writers? I’d genuinely appreciate it.
Excellent weblog right here! Additionally your website loads up very fast! What host are you using? Can I get your affiliate hyperlink in your host? I desire my web site loaded up as quickly as yours lol
My brother suggested I might like this website. He was totally right. This post truly made my day. You can not imagine simply how much time I had spent for this info! Thanks!
This is the right blog for anyone who wants to find out about this topic. You realize so much its almost hard to argue with you (not that I actually would want…HaHa). You definitely put a new spin on a topic thats been written about for years. Great stuff, just great!
I went over this site and I believe you have a lot of fantastic info , saved to fav (:.
What i don’t realize is actually how you’re now not really much more smartly-liked than you might be now. You’re very intelligent. You already know thus considerably when it comes to this topic, produced me in my opinion consider it from so many varied angles. Its like men and women are not fascinated unless it is one thing to do with Woman gaga! Your personal stuffs excellent. Always care for it up!
We’re a group of volunteers and opening a new scheme in our community. Your site offered us with valuable information to work on. You have done a formidable job and our whole community will be thankful to you.
Thank you, I’ve just been searching for information about this topic for ages and yours is the best I have discovered so far. But, what about the bottom line? Are you sure about the source?
Wow! Thank you! I permanently wanted to write on my website something like that. Can I take a part of your post to my blog?
Thank you, I’ve recently been looking for information approximately this topic for ages and yours is the best I’ve discovered so far. However, what in regards to the bottom line? Are you certain concerning the supply?
Oh my goodness! a tremendous article dude. Thanks Nevertheless I’m experiencing concern with ur rss . Don’t know why Unable to subscribe to it. Is there anybody getting identical rss problem? Anyone who is aware of kindly respond. Thnkx
Great write-up, I am normal visitor of one¦s website, maintain up the excellent operate, and It’s going to be a regular visitor for a long time.
Hi my friend! I want to say that this article is amazing, nice written and include almost all important infos. I would like to see more posts like this.
Hi! Would you mind if I share your blog with my facebook group? There’s a lot of folks that I think would really enjoy your content. Please let me know. Thanks
Glad to be one of several visitants on this amazing website : D.
Hi! Do you know if they make any plugins to protect against hackers? I’m kinda paranoid about losing everything I’ve worked hard on. Any recommendations?
Rattling wonderful visual appeal on this web site, I’d value it 10 10.
Very good written post. It will be valuable to everyone who utilizes it, including yours truly :). Keep doing what you are doing – for sure i will check out more posts.
I was just searching for this information for a while. After six hours of continuous Googleing, finally I got it in your site. I wonder what’s the lack of Google strategy that do not rank this type of informative websites in top of the list. Generally the top web sites are full of garbage.
Hey, you used to write excellent, but the last few posts have been kinda boringK I miss your great writings. Past few posts are just a bit out of track! come on!
A lot of of the things you point out happens to be astonishingly accurate and it makes me ponder the reason why I hadn’t looked at this in this light before. This piece really did switch the light on for me as far as this subject goes. Nonetheless at this time there is one particular issue I am not too comfortable with and while I attempt to reconcile that with the actual central idea of the issue, permit me see exactly what all the rest of the readers have to say.Nicely done.
Very interesting details you have observed, appreciate it for posting.
Regards for all your efforts that you have put in this. very interesting information.
Very well written article. It will be useful to anyone who employess it, as well as myself. Keep doing what you are doing – i will definitely read more posts.
Farmasi España es mucho más que una simple tienda de cosméticos. Es la rama hispana de una empresa internacional que ha ido ganando fuerza con rapidez gracias a la calidad de sus productos, su modelo de negocio innovador y una comunidad creciente de usuarios y consultores apasionados. En los últimos 25 años, Farmasi ha expandido su presencia a nivel global, y su impacto en España ha comenzado a consolidarse como una marca confiable y con gran potencial.
There is apparently a bunch to identify about this. I feel you made some nice points in features also.
Respect to article author, some good selective information.
Heya i’m for the first time here. I found this board and I find It really useful & it helped me out a lot. I hope to give something back and aid others like you aided me.
Good write-up, I am normal visitor of one’s site, maintain up the nice operate, and It is going to be a regular visitor for a long time.
Thanks for every other informative website. Where else may I am getting that type of info written in such a perfect approach? I have a venture that I am just now operating on, and I’ve been on the glance out for such information.
Very excellent information can be found on website. «The greatest mistake is trying to be more agreeable than you can be.» by Walter Bagehot.
I have read a few good stuff here. Definitely worth bookmarking for revisiting. I surprise how much effort you put to make such a wonderful informative site.
This site is really a walk-by means of for all the data you wanted about this and didn’t know who to ask. Glimpse here, and you’ll undoubtedly discover it.
you’ve an excellent weblog here! would you like to make some invite posts on my weblog?
I¦ll right away grasp your rss feed as I can not in finding your e-mail subscription hyperlink or e-newsletter service. Do you have any? Kindly permit me recognize so that I could subscribe. Thanks.
Hello there! Do you use Twitter? I’d like to follow you if that would be ok. I’m undoubtedly enjoying your blog and look forward to new posts.
Appreciate it for helping out, superb information.
Wow, incredible blog format! How long have you ever been blogging for? you make blogging look easy. The whole glance of your site is great, let alone the content material!
Thank you for helping out, superb information. «Nobody can be exactly like me. Sometimes even I have trouble doing it.» by Tallulah Bankhead.
You made some good points there. I did a search on the issue and found most individuals will consent with your website.
I like this site very much so much wonderful info .
I think this internet site has got some very fantastic info for everyone : D.
I do love the manner in which you have presented this situation and it does indeed present me personally a lot of fodder for consideration. On the other hand, through everything that I have observed, I only trust when the responses pack on that individuals keep on issue and not embark on a tirade involving some other news of the day. Yet, thank you for this outstanding piece and whilst I do not really agree with this in totality, I value the point of view.
I am impressed with this website , really I am a big fan .
Hello very nice site!! Man .. Beautiful .. Wonderful .. I will bookmark your website and take the feeds additionally…I’m happy to search out a lot of useful info right here within the post, we’d like develop more strategies in this regard, thank you for sharing. . . . . .
You made certain fine points there. I did a search on the matter and found the majority of folks will consent with your blog.
Excellent post. I was checking continuously this blog and I’m impressed! Extremely helpful info particularly the last part 🙂 I take care of such information a lot. I was looking for this certain info for a long time. Thanks and good luck.
I really like forgathering utile information , this post has got me even more info! .
I was more than happy to find this net-site.I wanted to thanks for your time for this excellent learn!! I positively enjoying each little bit of it and I’ve you bookmarked to check out new stuff you blog post.
There may be noticeably a bundle to find out about this. I assume you made certain nice factors in options also.